美丽热线0510-68500888

当前位置:首页 > 项目 > 面部轮廓 > 颧骨/颧弓缩小 >

颧骨缩小术要多少钱

时间:2014-08-04  在线预约 | 咨询医生

 颧骨缩小术大概要花多少钱呢?人们对于一种美容手术的喜爱,离不开其合理的价格。有些美容手术,尽管效果十分惊人,但高昂的价格让太多人望之却步。那么,颧骨缩小术大概要花多少钱呢?我们一起听听无锡施尔美医疗美容医院的医生的讲解。

  颧骨缩小术大概要花多少钱呢?

 

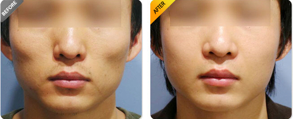
  颧骨缩小术是继下颌角缩小术之后,第二个多施行的颜面轮廓整形手术。颧骨上面连接额骨、下面连接上颌骨,后面连接侧面的颅骨,是处于中央的骨。颧骨突出给人尖酸刻薄之感,而手术后的脸部比例更加协调,给人亲和感。

  颧骨缩小手术的价格跟求美者选择的整形医院有关。一些小型没有什么知名度的整形医院做颧骨缩小手术的话,通常价格会更便宜一些。而那些大型的名气大的整形医院的价格会更高。

  颧骨缩小手术的价格跟选择的整形医生有关。在能够独立进行手术的整形医生当中,有丰富手术经验的整形医生往往做颧骨缩小手术的价格会更贵一些。

  颧骨缩小手术的价格跟求美者的自身情况有关。一般来说单纯的颧骨过高的情况,在进行颧骨缩小手术过程中的操作相对会更加简单一些,价格也会更便宜一些。但是如果是比较复杂的颧骨情况,做颧骨缩小手术的难度也会相对更大一些,从而导致价格也会更贵一些。

        如您还有什么疑问,可以咨询无锡施尔美医疗美容医院的医生进行咨询。---点击咨询

上一篇:颧骨缩小术怎么做
下一篇:颧骨整形有哪些适应症
  • 医院地址:
  • 无锡市广瑞路1号(第八人民医院2号楼)
  • 门诊时间:
  • 8:30-18:30(无节假日休息)
  • 美丽热线:0510-68500888

整形分期付款

专车免费接送